Plans for Quarry Lands aired at Community Council

Build Toronto’s plans for its portion of vacant land northeast of Gerrard and Victoria Park were before Scarborough Community Council last week, with the presentation of a preliminary report on an  application for an Official Plan Amendment and Zoning Amendment.

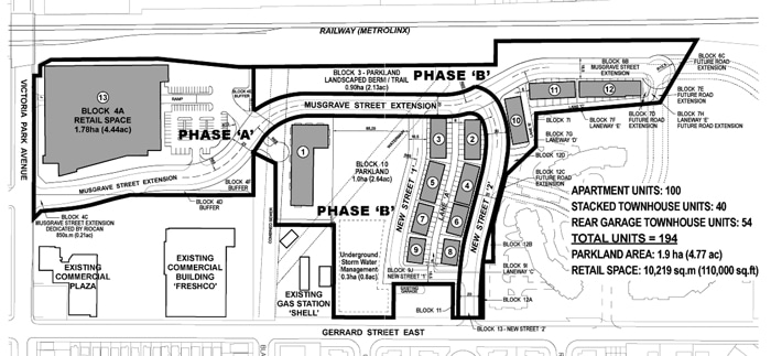
quarry-mapThe biggest news is the inclusion in the current plan of a single large retail building of 10,219 sq. m (110,000 sq. ft) on the Victoria Park frontage, including the area which used to house the Beach Fairway Golf Range. Many local residents had been hoping for a multi-tenanted retail facility.

The residential portion of the site would include 12 blocks of housing, split into townhouses, stacked townhouses and one four-storey, 100-unit apartment building. The current number of units tops out at 210, with earlier estimates citing 194 residential units.

Two park areas would be created – a central park area of 2.6 acres, and a longer, more narrow area of 2.1 acres beside the rail corridor, which would be a landscaped berm. The plan also calls for 1.3 km of new roads, including an eastward extension of Musgrave Street, which would separate the two blocks of parkland.

Build Toronto, the successor to the Toronto Economic Development Corporation, is responsible for 14.5 acres of land, and is incorporating roughly 4.5 acres of land currently zoned as Park in its plan for the irregularly-shaped site. To the north lies a Metrolinx railway right-of-way. The Build Toronto lands wrap around the retail plaza on the northeast corner of Victoria Park and Gerrard (the location of FreshCo and McDonald’s, among other retailers), as well as reaching south to Gerrard between the Shell and Olco gas station properties. To the east is the land owned by the Conservatory Group, which is zoned to allow four high-rise apartment buildings (which has long been opposed by the Concerned Citizens of Quarry Lands Development).

The current zoning of the property includes a sliver of Parks, a small area zoned Community Commercial, and a large area zoned Agricultural Holding. Build Toronto is requesting an Official Plan amendment to replace the ‘Mixed Use Areas’ designation of much of the site with a ‘Neighbourhoods’ designation. The Parks area would be reconfigured, and the Victoria Park-facing parcel would retain its ‘Mixed Use Areas’ designation.

Public meetings on the amendments, as part of the normal rezoning and official plan amendment process, will be announced in coming months.